Nazionali

Uragano Erin cresce e diventa di categoria 5, minaccia per i Caraibi

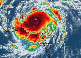
(Adnkronos) – Erin si rafforza rapidamente sull’Oceano Atlantico e diventa un uragano di categoria 5 sulla scala Saffir-Simpson. E’ quanto riferisce Cbs news citando il National Hurricane Center (Nhc) degli Stati Uniti. In un avviso aggiornato alle 11:20 ora locale, il centro con sede a Miami ha detto che i ‘cacciatori di uragani’ hanno scoperto che Erin è cararatterizzato da venti che soffiano a 160 mph (circa 257 chilometri orari). Un uragano di categoria 5 è tale se le raffiche di vento soffiano almeno a 157 mph (252 chilometri orari). 

L’uragano prosegue il suo percorso verso i Caraibi, minacciando intense piogge e inondazioni. Erin continua il suo percorso verso le Piccole Antille, una regione che comprende le Isole Vergini americane e britanniche e Porto Rico, secondo quanto riportato dal National Hurricane Center (Nhc) degli Stati Uniti.  

© Riproduzione riservata
Caricamento prossimi articoli in corso...