Ciclabile Boschetto, progetto da 900mila euro, parte ricerca di finanziamenti
Approvato dalla Giunta, su proposta dell’Assessore alle Infrastrutture e alla Mobilità Alessia Manfredini, il progetto di fattibilità tecnica ed economica della pista n.6, prevista dal Biciplan, nel tratto compreso tra via Nazario Sauro e via Crocile, che collega il quartiere Boschetto alla città. L’approvazione è propedeutica alla ricerca e all’ottenimento di cofinanziamenti ministeriali o regionali e permette di partecipare a bandi nazionali e regionali destinati ad incentivare la mobilità sostenibile e a realizzare piste ciclabili.
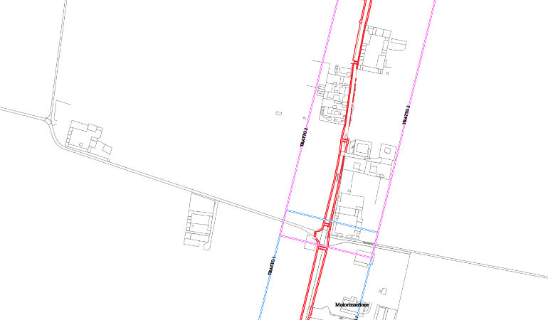
Il progetto si basa su uno schema a piste monodirezionali contrapposte in modo da garantire la continuità del tracciato, per ciclisti e pedoni, tra le aree edificate sia sul fronte est che sul fronte ovest di via Boschetto. Tale progettazione è stata pensata innanzitutto per evitare, a causa della carenza degli spazi necessari in banchina, attraversamenti del percorso ciclopedonale, per consentire inoltre la continuità dei tratti pedonali lungo l’intera via Boschetto, da nord a sud, ed infine per limitare le aree da espropriare. La pista ha una lunghezza di circa 1,6 km e un larghezza compresa tra i 2 e 2,5 metri. Il costo complessivo previsto è di 900mila euro.


La progettazione ha tenuto conto delle esigenze manifestate dal locale Comitato di quartiere e di alcune utili indicazioni pervenute da FIAB Biciclettando Cremona. Sono state così introdotte misure tese a migliorarne la sicurezza: sono previste infatti la sistemazione dell’attraversamento pedonale rialzato che si trova in prossimità del civico 80; la realizzazione di un nuovo attraversamento rialzato presso il civico 41; la messa in sicurezza delle fermate bus esistenti attraverso la pavimentazione della banchina stradale; la riqualificazione dell’impianto di illuminazione pubblica e della segnaletica stradale che sarà anche implementata.
Sul tema della mobilità dolce si terrà sabato 30 marzo in sala Puerari il convegno organizzato da Fiab “Mobilità del futuro: insieme e convidisi” con il sindaco Gianluca Galimberti, l’assessore Alessia Manfredini, la presidente FIAB Giulietta Pagliaccio, l’arch. urbanista Matteo Dondè, la Vice Questore Federica Deledda. Ospite Marco Scarponi che presenterà la fondazione Michele Scarponi.